土地
清水区大沢町土地
価格
3,180万円
学区
岡小・清水第二中
ここがオススメ! 担当:渡辺
岡小、清水第二中学区
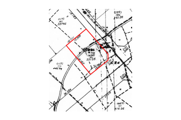
幅員12mと6m道路に面する東南角地
※値下げしました
物件概要
| 所在地 | 静岡市清水区大沢町49-1 | ||
|---|---|---|---|
| 交通 | 最寄バス停:神田町徒歩約2分 | ||
| 学区 | 岡小・清水第二中 | ||
| 価格 | 3,180万円 | ||
| 土地面積 | 221.55 m² (67.01 坪) | 建築条件 | 条件なし |
| 土地権利 | 所有権 | 公簿 | 宅地 |
| 都市計画 | 市街化区域 | 用途地域 | 第1種中高層住居専用地域 |
| 建ぺい率 | 70% | 容積率 | 200% |
| 地域地区 | 法22条区域 高度地区 | 接道状況 | 南東側約12m、北東側約6m公道に接する |
| 設備 | 電気:有 水道:公営 ガス:都市ガス 排水:公共下水 | ||
| 引渡時期 | 相談 | 現況 | 建物有 |
| 取引態様 | 仲介 | ||
| 備考 |
現況地目:宅地 建物解体更地、実測後お引渡しいたします |
||








